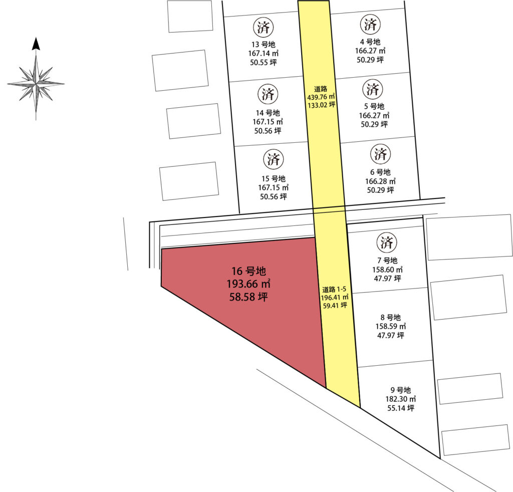
勝原区山戸16区画<16号地>
|
| 所在地 | 兵庫県姫路市勝原区山戸字キリ176-7 |
|---|---|
| 交通 | JR山陽本線 はりま勝原駅 徒歩1500m 徒歩17分 JR山陽本線 はりま勝原駅まで、車だと5分・自転車だと7分です。 |
| 駐車場 | 取引態様 | 売主 | |
|---|---|---|---|
| 引渡/入居時期 | 相談 | 現況 | 更地 |
| 地目 | 宅地 | 用途地域 | 第一種低層住居専用 |
| 都市計画 | 市街化区域 | 地勢 | 平坦 |
| 土地面積 | 193.57m² | 土地面積計測方式 | 公簿 |
| セットバック | 無 | セットバック量 | |
| 建ぺい率 | 60% | 容積率 | 150% |
| 土地権利 | 所有権 | 接道状況 | 一方 |
| 接道方向1 | 東 | 接道間口1 | 6m |
| 接道種別1 | 公道 | 接道幅員1 | |
| 国土法届出 | 不要 | ||
| 周辺環境 |
姫路市立勝原小学校 姫路市立朝日中学校 イオン姫路大津店、よしたか内科クリニック、勝原南公園、幼保連携型認定こども園 勝原保育園 |
||
| 設備・条件 | 電気:関西電力、ガス:都市ガス、上水道・公共下水道 |
||
| 物件番号 | 2025_177_016 | ||
| 自社物 | 状態 | 売出中 | |
| 特記事項 | ※建築条件無し 北側に隣接している道に関しては、将来的に整備する予定です。 南側の道については、整備の予定は現在ありません。 |
||
※物件掲載内容と現況に相違がある場合は現況を優先と致します。
お問合せフォーム


